Thursday, September 14, 2023

Google Alert - latest

Google
latest
As-it-happens update September 14, 2023
NEWS
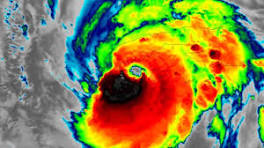
Latest track and timing of Hurricane Lee. Hurricane Lee is moving north and is already bringing dangerous winds, coastal flooding, and rain to New ...
Facebook Twitter Flag as irrelevant
WEB
Latest News - City of Fort Wayne
List of articles in category Latest. Title, Author, Hits. Bagged Leaf Collection Info, Written by Super User, Hits: 11799. Page 32 of 32.
Facebook Twitter Flag as irrelevant
Prof. LeHir publishes latest book - French Studies - University of Arizona
Prof. Marie-Pierre LeHir has published her latest book, The National Habitus: Ways of Feeling French, 1789-1870, with De Gruyter.
Facebook Twitter Flag as irrelevant
See more results | Edit this alert
You have received this email because you have subscribed to Google Alerts.
RSS Receive this alert as RSS feed
Send Feedback

No comments:

Post a Comment