| | |||||||
| latest | |||||||
| NEWS | |||||||
Hurricane Melissa causes major flooding, devastation in Jamaica | Latest update - YouTube Hurricane Melissa causes major flooding, devastation in Jamaica | Latest update. 4 views · 3 minutes ago ...more ... ALERT: Landfall is imminent. Follow along for the very latest on Hurricane Melissa: - Facebook - Facebook FOX Weather Hurricane Specialist Bryan Norcross provides the latest analysis on ... - Facebook - Facebook
| |||||||
| Week 9 Tracker: Latest news, notes & roster moves - Giants.com 5:18 p.m. -- Earlier today, WR Malik Nabers underwent successful surgery to repair a torn anterior cruciate ligament (ACL). He will begin his ...
| |||||||
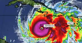
Hurricane Melissa's latest predicted track as storm makes landfall in Jamaica - CBS News Hurricane Melissa has made landfall in Jamaica as a Category 5 storm. Meteorologist Jessica Burch takes a look at where it's headed.
| |||||||
| WEB | |||||||
| Palantir and Nvidia CEOs discuss their latest partnership - CNBC Jensen Huang, Nvidia CEO, and Alex Karp, Palantir CEO, join 'Power Lunch' to discuss the latest partnership between Palantir and Nvidia.
| |||||||
| LIVE | SNAP Latest: Newsom, Bonta to sue Trump Administration - YouTube LIVE | SNAP Latest: Newsom, Bonta to sue Trump Administration. 35 watching now #CaliforniaNews #SNAPBenefits #GavinNewsom ...more. ABC10. 464K.
| |||||||
| Latest Update from Anthropic's new model - Neptune V6 : r/ClaudeAI - Reddit Latest Update from Anthropic's new model - Neptune V6. News. They are testing their next AI model, codenamed "Neptune V6." The model has been sent ...
| |||||||
| Sarah Armstrong-Smith's Post - LinkedIn Personal post ** Some of you have been wondering what the latest is with the doggo since his operation to remove a tumour. After the op, he ...
| |||||||
| News Flash • Flash Flooding Incident - Latest Updates - Titusville, FL City of Titusville - Home. Posted on: October 27, 2025. Flash Flooding Incident - Latest Updates. NEW CITY SEAL 300 dpi raster copy. October 27, 2025 ...
| |||||||
| XR ASSOCIATION RELEASES LATEST CHAPTER IN DEVELOPERS GUIDE SERIES XR ASSOCIATION RELEASES LATEST CHAPTER IN DEVELOPERS GUIDE SERIES: CHAPTER 6 DESIGNING FOR YOUTH ENGAGEMENT AND WELLBEING IN IMMERSIVE EXPERIENCES.
| |||||||
| See more results | Edit this alert | |||||||
| You have received this email because you have subscribed to Google Alerts. |
Receive this alert as RSS feed |
| Send Feedback |
No comments:
Post a Comment